
| Recorded by: Ken Kneidel on 2025-11-02 Mecklenburg Co. Comment: | 
| Recorded by: Ken Kneidel on 2025-11-02 Mecklenburg Co. Comment: |

| Recorded by: Mark Basinger and Jim Petranka on 2025-10-17 Madison Co. Comment: Verbesina alternifolia was host plant. Blotch mine had cocoon present. | 
| Recorded by: Mark Basinger and Jim Petranka on 2025-10-17 Madison Co. Comment: Verbesina alternifolia was host plant. Blotch mine had cocoon present. |

| Recorded by: Ken Kneidel on 2025-10-13 Mecklenburg Co. Comment: | 
| Recorded by: Ken Kneidel on 2025-10-13 Mecklenburg Co. Comment: |

| Recorded by: Ken Kneidel on 2025-10-13 Mecklenburg Co. Comment: | 
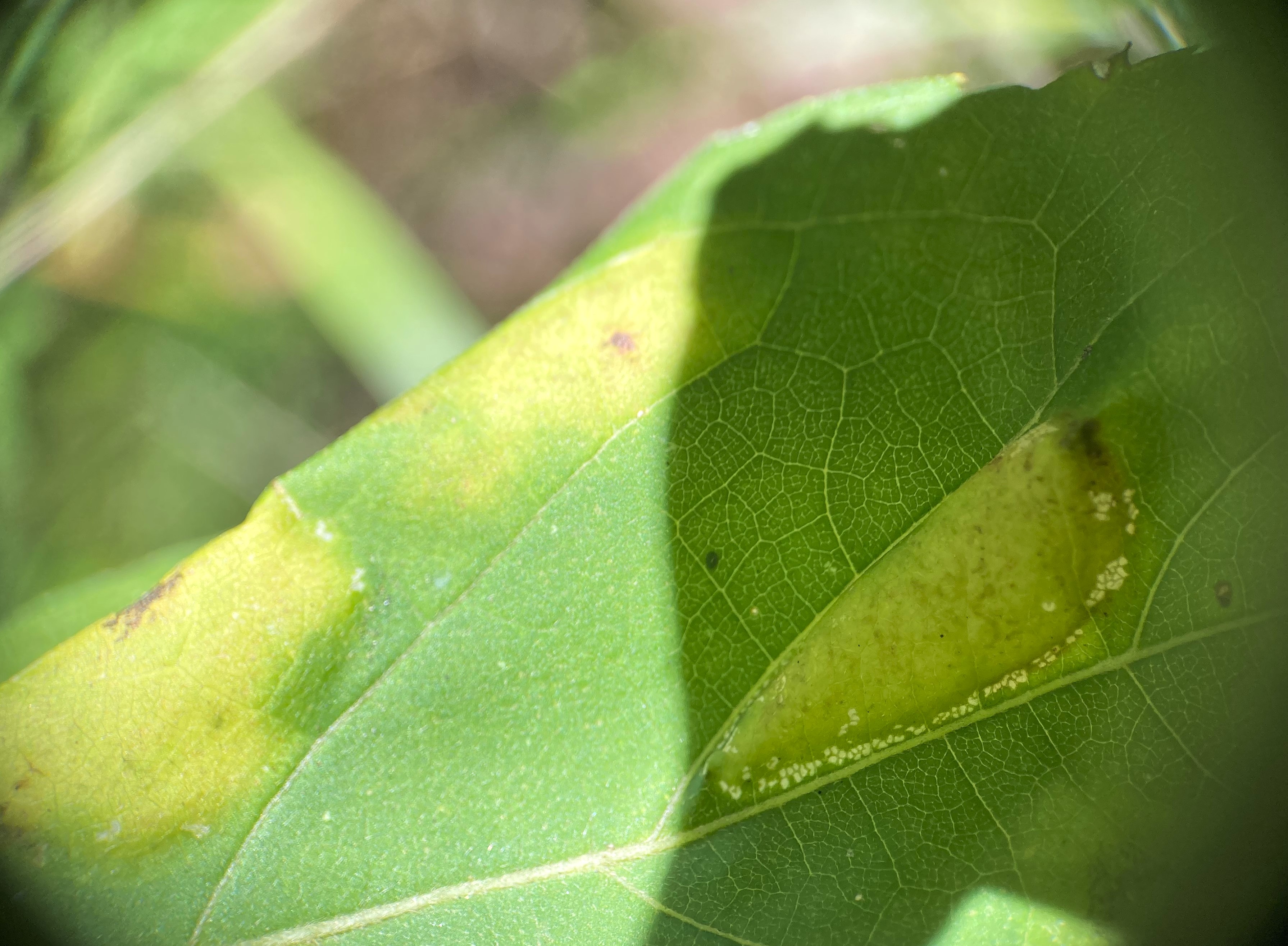
| Recorded by: Jim Petranka and Becky Elkin on 2025-10-11 Madison Co. Comment: |

| Recorded by: Jim Petranka and Becky Elkin on 2025-10-11 Madison Co. Comment: | 
| Recorded by: Jim Petranka and Becky Elkin on 2025-10-04 Madison Co. Comment: |

| Recorded by: Jim Petranka and Becky Elkin on 2025-10-04 Madison Co. Comment: | 
| Recorded by: Jim Petranka and Becky Elkin on 2025-10-04 Madison Co. Comment: |

| Recorded by: Dean Furbish, Lior S. Carlson on 2025-09-18 Orange Co. Comment: | 
| Recorded by: Dean Furbish, Lior S. Carlson on 2025-09-18 Orange Co. Comment: |

| Recorded by: Dean Furbish, Lior S. Carlson on 2025-09-18 Orange Co. Comment: | 
| Recorded by: Ken Kneidel on 2025-02-24 Mecklenburg Co. Comment: |

| Recorded by: Ken Kneidel on 2025-02-24 Mecklenburg Co. Comment: | 
| Recorded by: Ken Kneidel on 2024-11-03 Mecklenburg Co. Comment: |

| Recorded by: Ken Kneidel on 2024-11-03 Mecklenburg Co. Comment: | 
| Recorded by: Ken Kneidel on 2024-11-03 Mecklenburg Co. Comment: |

| Recorded by: Mark Basinger on 2024-09-21 Buncombe Co. Comment: Unoccupied mines were on Verbesina alternifolia . | 
| Recorded by: Mark Basinger on 2024-09-21 Buncombe Co. Comment: |

| Recorded by: Jim Petranka, Mark Basinger and Becky Elkin on 2024-09-21 Madison Co. Comment: Occupied mines were on Verbesina occidentalis. | 
| Recorded by: Jim Petranka, Mark Basinger and Becky Elkin on 2024-09-21 Madison Co. Comment: |

| Recorded by: Tracy Feldman on 2024-06-21 Chatham Co. Comment: | 
| Recorded by: Tracy Feldman on 2024-06-21 Chatham Co. Comment: |

| Recorded by: David George, Jeff Niznik on 2023-09-11 Orange Co. Comment: | 
| Recorded by: David George, Jeff Niznik on 2023-09-11 Orange Co. Comment: |

| Recorded by: David George, Jeff Niznik on 2023-09-04 Orange Co. Comment: | 
| Recorded by: David George, Jeff Niznik on 2023-09-04 Orange Co. Comment: |
|