| sciName | photo link | checklist number | county | county split | date | number | method | habitat | collector | reference | immature | vetting level | obsType | 
|---|---|---|---|---|---|---|---|---|---|---|---|---|---|
| Leptostylus transversus | ![]()  | 121003024002.00 | Wilson | 2025-10-18 | 2 | UVS | PPLN | Mark Basinger | 2 | Photo | |||
| Cicindela tranquebarica Oblique-lined Tiger Beetle  | ![]()  | 6006004046.00 | Henderson | 2025-10-07 | 1 | DSD | OLFI | Marilyn Westphal | 2 | Photo | |||
| Cicindela ancocisconensis Appalachian Tiger Beetle  | ![]()  | 6006004047.00 | Surry | 2025-10-04 | 1 | DSD | CPGA | Ron Storey | 2 | Photo | |||
| Cicindelidia punctulata Punctured Tiger Beetle  | ![]()  | 6006004057.00 | Bertie | 2025-09-23 | 0 | K. Sanford | FALSE | 2 | Photo | ||||
| Leptostylus transversus | ![]()  | 121003024002.00 | Wilson | 2025-09-24 | 75-100 | UVS | PPLN | Mark Basinger | 2 | Photo | |||
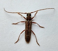
| Monochamus carolinensis Carolina Pine Sawyer  | ![]()  | 121003029001.00 | Wilson | 2025-09-22 | 1 | UVS | PPLN | Mark Basinger | 2 | Photo | |||
| Oncideres cingulata Twig Girdler  | ![]()  | 121003033001.00 | Wilson | 2025-09-22 | 1 | UVS | PPLN | Mark Basinger | 2 | Photo | |||
| Monochamus carolinensis Carolina Pine Sawyer  | ![]()  | 121003029001.00 | Wilson | 2025-09-18 | 4 | UVS | PPLN | Mark Basinger | 2 | Photo | |||
| Oncideres cingulata Twig Girdler  | ![]()  | 121003033001.00 | Wilson | 2025-09-18 | 1 | UVS | PPLN | Mark Basinger | 2 | Photo | |||
| Acanthocinus obsoletus | ![]()  | 121003001002.00 | Wilson | 2025-09-18 | 1 | UVS | PPLN | Mark Basinger | 2 | Photo | |||
| sciName | photo link | checklist number | county | county split | date | number | method | habitat | collector | reference | immature | vetting level | obsType | 
| Leptostylus transversus | ![]()  | 121003024002.00 | Wilson | 2025-09-14 | 4 | UVS | PPLN | Mark Basinger | 2 | Photo | |||
| Leptostylus asperatus | ![]()  | 121003024001.00 | Wilson | 2025-09-14 | 1 | UVS | PPLN | Mark Basinger | 2 | Photo | |||
| Megacyllene robiniae Locust Borer  | ![]()  | 121002032003.00 | Transylvania | 2025-09-14 | 1 | DSD | ALRN | Khaos | 2 | Photo | |||
| Megacyllene robiniae Locust Borer  | ![]()  | 121002032003.00 | Transylvania | 2025-09-14 | 1 | DSD | ALRN | Khaos | 2 | Photo | |||
| Monochamus carolinensis Carolina Pine Sawyer  | ![]()  | 121003029001.00 | Wilson | 2025-09-13 | 1 | UVS | PPLN | Mark Basinger | 2 | Photo | |||
| Leptostylus transversus | ![]()  | 121003024002.00 | Wilson | 2025-09-09 | 1 | UVS | PPLN | Mark Basinger | 2 | Photo | |||
| Acanthocinus nodosus | ![]()  | 121003001001.00 | Richmond | 2025-08-31 | 1 | DSD/DSN | SNDH | Mark Basinger, Jim Petranka, and Becky Elkin | 2 | Photo | |||
| Monochamus carolinensis Carolina Pine Sawyer  | ![]()  | 121003029001.00 | Brunswick | 2025-08-22 | 1 | UVS | MARF | Mark Basinger | 2 | Photo | |||
| Prionus pocularis | ![]()  | 121006006006.00 | Wilson | 2025-08-20 | 1 | UVS | PPLN | Mark Basinger | 2 | Photo | |||
| Monochamus notatus Northeastern Sawyer  | ![]()  | 121003029003.00 | Henderson | 2025-08-18 | 1 | UVT/UVSPS | MEHS | Marilyn Westphal, Jim Petranka | 2 | Photo | |||
| sciName | photo link | checklist number | county | county split | date | number | method | habitat | collector | reference | immature | vetting level | obsType | 
| Aegomorphus modestus | ![]()  | 121003003001.00 | Ashe | 2025-08-11 | 1 | UVS | MEHS | Mark Basinger | 2 | Photo | |||
| Prionus laticollis | ![]()  | 121006006004.00 | Ashe | 2025-08-09 | 1 | UVS | MEHS | Mark Basinger | 2 | Photo | |||
| Eutrichillus biguttatus | ![]()  | 121003016001.00 | Chatham | 2025-05-01 | 1 | K. Bischof | FALSE | 2 | Photo | ||||
| Stenocorus cinnamopterus | ![]()  | 121004031001.00 | Chatham | 2025-04-20 | 1 | K. Bischof | FALSE | 2 | Photo | ||||
| Tetracha virginica Virginia Metallic Tiger Beetle, Virginia Big-headed Tiger Beetle  | ![]()  | 6006003014.00 | Dare | BIU | 2025-08-06 | 2 | DSN | SWRN,ALRN,MARF | Sarah Toner and Larry Chen | 2 | Photo | ||
| Monochamus titillator Southern Pine Sawyer  | ![]()  | 121003029005.00 | Wilson | 2025-08-04 | 1 | UVS | PPLN | Mark Basinger | FALSE | 2 | Photo | ||
| Cicindelidia punctulata Punctured Tiger Beetle  | ![]()  | 6006004057.00 | Carteret | 2025-07-31 | 1 | R. Newman | FALSE | 2 | Photo | ||||
| Graphisurus fasciatus | ![]()  | 121003018002.00 | Transylvania | 2025-08-01 | 1 | K. Bischof | FALSE | 2 | Photo | ||||
| Orthosoma brunneum | ![]()  | 121006005001.00 | Transylvania | 2025-07-18 | 1 | K. Bischof | FALSE | 2 | Photo | ||||
| Elytrimitatrix undata | ![]()  | 120001001001.00 | Transylvania | 2025-07-19 | 1 | K. Bischof | FALSE | 2 | Photo | ||||
| sciName | photo link | checklist number | county | county split | date | number | method | habitat | collector | reference | immature | vetting level | obsType | 
| Tetracha carolina Carolina Metallic Tiger Beetle, Pan-American Big-headed Tiger Beetle  | ![]()  | 6006003011.00 | Beaufort | 2025-07-27 | 2 | BLDL,DSN | ALRN | Sarah Toner and Larry Chen | 2 | Photo | |||
| Tetracha carolina Carolina Metallic Tiger Beetle, Pan-American Big-headed Tiger Beetle  | ![]()  | 6006003011.00 | Tyrrell | 2025-07-22 | 4 | BLDL,DSN | ALRN,CLND,WTHW | Sarah Toner | 2 | Photo | |||
| Prionus pocularis | ![]()  | 121006006006.00 | Wilson | 2025-07-30 | 1 | UVS | PPLN | Mark Basinger | 2 | Photo | |||
| Prionus pocularis | ![]()  | 121006006006.00 | Wilson | 2025-07-30 | 3 | UVS | PPLN | Mark Basinger | 2 | Photo | |||
| Prionus imbricornis | ![]()  | 121006006003.00 | Wilson | 2025-07-30 | 1 | UVS | PPLN | Mark Basinger | 2 | Photo | |||
| Enaphalodes atomarius | ![]()  | 121002023002.00 | Wilson | 2025-07-29 | 1 | UVS | PPLN | Mark Basinger | 2 | Photo | |||
| Prionus pocularis | ![]()  | 121006006006.00 | Wilson | 2025-07-29 | 3 | UVS | PPLN | Mark Basinger | 2 | Photo | |||
| Elaphidion mucronatum | ![]()  | 121002021005.00 | Wilson | 2025-07-29 | 1 | UVS | PPLN | Mark Basinger | 2 | Photo | |||
| Leptostylus transversus | ![]()  | 121003024002.00 | Wilson | 2025-07-29 | 4 | UVS | PPLN | Mark Basinger | 2 | Photo | |||
| Xylotrechus sagittatus | ![]()  | 121002068008.00 | Wilson | 2025-07-28 | 1 | UVS | PPLN | Mark Basinger | 2 | Photo | |||
| sciName | photo link | checklist number | county | county split | date | number | method | habitat | collector | reference | immature | vetting level | obsType | 
| Leptostylus transversus | ![]()  | 121003024002.00 | Wilson | 2025-07-28 | 3 | UVS | PPLN | Mark Basinger | 2 | Photo | |||
| Prionus pocularis | ![]()  | 121006006006.00 | Wilson | 2025-07-28 | 1 | UVS | PPLN | Mark Basinger | 2 | Photo | |||
| Leptostylus transversus | ![]()  | 121003024002.00 | Wilson | 2025-07-27 | 1 | UVS | PPLN | Mark Basinger | 2 | Photo | |||
| Leptostylus transversus | ![]()  | 121003024002.00 | Brunswick | 2025-07-24 | 1 | UVS | MARF | Mark Basinger | 2 | Photo | |||
| Leptostylus transversus | ![]()  | 121003024002.00 | Brunswick | 2025-07-23 | 1 | UVS | MARF | Mark Basinger | 2 | Photo | |||
| Monochamus carolinensis Carolina Pine Sawyer  | ![]()  | 121003029001.00 | Brunswick | 2025-07-24 | 1 | UVS | MARF | Mark Basinger | 2 | Photo | |||
| Xylotrechus sagittatus | ![]()  | 121002068008.00 | Brunswick | 2025-07-24 | 1 | UVS | MARF | Mark Basinger | 2 | Photo | |||
| Leptostylus transversus | ![]()  | 121003024002.00 | Brunswick | 2025-07-24 | 1 | UVS | MARF | Mark Basinger | 2 | Photo | |||
| Leptostylus transversus | ![]()  | 121003024002.00 | Brunswick | 2025-07-23 | 1 | UVS | MARF | Mark Basinger | 2 | Photo | |||
| Monochamus carolinensis Carolina Pine Sawyer  | ![]()  | 121003029001.00 | Brunswick | 2025-07-24 | 1 | UVS | MARF | Mark Basinger | 2 | Photo | |||














































