Moths of North Carolina
Home Page
Recent Entries
Recent Account Updates
County Searches
General Search
Submit a Public Record
Larval Hosts
References
Maps
Draft Checklists
Family Photo Gallery
Family PDFs
NC Biodiversity Project
Comments
Significant Contributors
Scientific Name:
Common Name:
Family (Alpha):
Choose a Family
ACROLEPIIDAE-False Diamondback Moths
ADELIDAE-Fairy moths
ALUCITIDAE-Many-plumed Moths
AMPHISBATIDAE-
ARGYRESTHIIDAE-Shiny Head-standing Moths
AUTOSTICHIDAE-Autostichid Moths
BATRACHEDRIDAE-Batrachedrid Moths
BEDELLIIDAE-Bedelliid Moths
BLASTOBASIDAE-Blastobasid Moths
BOMBYCIDAE-Silkworm Moths
BUCCULATRICIDAE-Ribbed Cocoon-maker Moths
CARPOSINIDAE-Fruitworm Moths
CHOREUTIDAE-Metalmark Moths
COLEOPHORIDAE-Casebearer Moths and Relatives
COSMOPTERIGIDAE-Cosmopterigid Moths
COSSIDAE-Carpenter Moths, Goat Moths
CRAMBIDAE-Grass Moths, Snout Moths
DEPRESSARIIDAE-
DREPANIDAE-Hook-tips and Thyatirid Moths
DRYADAULIDAE-
ELACHISTIDAE-Grassminer Moths and Relatives
EPERMENIIDAE-Fringe-tufted Moths
EPIPYROPIDAE-Planthopper Parasite Moths
EREBIDAE-Erebid Moths
ERIOCRANIIDAE-Eriocraniid Moths
EUTELIIDAE-Euteliid Moths
GALACTICIDAE-Galacticid Moths
GELECHIIDAE-Gelechiid Moths; Twirler Moths
GEOMETRIDAE-Geometer Moths, Loopers
GLYPHIDOCERIDAE-Glyphidocerid Moths
GLYPHIPTERIGIDAE-Sedge Moths
GRACILLARIIDAE-Leafblotch miner moths
HELIOZELIDAE-Shield bearer moths
HEPIALIDAE-Ghost or Swift Moths
HYBLAEIDAE-
INCURVARIIDAE-Leafcutter Moths
LASIOCAMPIDAE-Tent Caterpillar Moths, Lappet Moths
LECITHOCERIDAE-Long-horned Moths
LIMACODIDAE-Slug Caterpillar Moths
LIMOCODIDAE-
LYONETIIDAE-Lyonetiid Moths
MEGALOPYGIDAE-Flannel Moths
MICROPTERIGIDAE-Mandibulate Moths
MIMALLONIDAE-
MOMPHIDAE-Mompha Moths
NEPTICULIDAE-Minute leaf miners
NOCTUIDAE-Owlet Moths
NOLIDAE-
NOTODONTIDAE-Prominents
OECOPHORIDAE-Oecophorid Moths
OPOSTEGIDAE-
PELEOPODIDAE-
PLUTELLIDAE-Diamondback Moths
PRODOXIDAE-Yucca Moths
PSYCHIDAE-Bagworm Moths
PTEROPHORIDAE-Plume Moths
PYRALIDAE-Pyralid Moths, Snout Moths
SATURNIIDAE-Giant Silkworm Moths
SCHRECKENSTEINIIDAE-Schreckensteiniid Moths
SCYTHRIDIDAE-
SESIIDAE-Clearwing Moths
SPHINGIDAE-Sphinx Moths
THYATIRIDAE-
THYRIDIDAE-Window-winged Moths
TINEIDAE-Clothes moths
TISCHERIIDAE-Tischerid Moths
TORTRICIDAE-Leafroller Moths
URANIIDAE-
URODIDAE-Urodid Moths
XYLORYCTIDAE-
YPONOMEUTIDAE-Ermine Moths
YPSOLOPHIDAE-Ypsolophid Moths
ZYGAENIDAE-
«
Home
»
View
PDF
Cosmopterigidae Members:
Anatrachyntis badia
Anatrachyntis rileyi
Anatrachyntis unidentified species
Cosmopterix astrapias
Cosmopterix clandestinella
Cosmopterix clemensella
Cosmopterix damnosa
Cosmopterix dapifera
Cosmopterix delicatella
Cosmopterix floridanella
Cosmopterix gemmiferella
Cosmopterix lespedezae
Cosmopterix magophila
Cosmopterix montisella
Cosmopterix nitens
Cosmopterix pulchrimella
Cosmopterix scirpicola
Cosmopterix teligera
Cosmopterix thelxinoe
Cosmopterix unidentified species
Eralea albalineella
Eteobalea sexnotella
Eteobalea wyattella
Euclemensia bassettella
Limnaecia phragmitella
Melanocinclis lineigera
Melanocinclis sparsa
Melanocinclis unidentified species
Nepotula secura
Perimede erransella
Perimede ricina
Perimede unidentified species
Periploca unidentified species
Pyroderces albistrigella
Stilbosis quadricustatella
Stilbosis tesquella
Stilbosis unidentified species
Stilbosis venifica
Tanygona lignicolorella
Triclonella pergandeella
Walshia elegans
Walshia floridensis
Walshia miscecolorella
Walshia new species nr. elegans
Walshia particornella
Walshia similis
Walshia unidentified species
Walshia [asymmetrica]
Eteobalea
Members:
Eteobalea sexnotella
Eteobalea wyattella
13 NC Records
Eteobalea sexnotella
(Chambers, 1878) - No Common Name
view caption
A gall on Dune Bluecurls (Trichostema nesophilum).
view caption
Stem galls on Trichostema dichotomum.
Taxonomy
Superfamily:
Gelechioidea
Family:
Cosmopterigidae
Subfamily:
Cosmopteriginae
P3 Number:
59a0392
MONA Number:
1508.00
MONA Synonym:
Stagmatophora sexnotella
Comments:
Eteobalea
is a holarctic genus with approximately 50 species. None are known to occur in the Neotropical Region, and four species occur in North America north of Mexico (Hodges, 1978). Some authorities recognize two genera (
Stagmatophora
and
Eteobalea
), but Hodges (1978) synonymized the two because he could not find a unique set of characters to distinguish between them.
Identification
Field Guide Descriptions:
Online Resources:
MPG
,
BugGuide
,
iNaturalist
,
Google
,
BAMONA
,
GBIF
,
BOLD
Adult Markings:
This is a distinctive species with a white head, a labial palp with two annuli, and a dark forewing with white and metallic-silvery markings. The following is based on the descriptions by Chambers (1878) and Walsingham (1907). The head is white, and the thorax dark brown to blackish. The antenna is dark brown, with a small white spot at the end of the basal joint. The labial palp is creamy white, with two brownish annuli on the terminal joint. The ground color of the forewing is dark brown to blackish, with three shining white markings on the costal margin and two metallic silver spots near the dorsal margin. At the basal one-fifth of the wing, there is an oblique white costal streak that crosses the fold and typically terminates before reaching the inner margin. A similar, but shorter streak is at one-half that is sometimes broken into two spots. A large white spot is present on the costa at about four-fifths, and a second smaller spot is present at the apex. Just below the dorsal margin there are two metallic silvery spots. The first is at about one-half the wing length and just anterior to the second costal streak, while the second is at about three-fourths. The hindwing and cilia on both wings are light brownish gray, while the abdomen is brownish fuscous, with whitish marks along the sides. The legs are whitish and banded with dark brown.
This species is similar to
E. wyattella
, but the occiput is uniformly shining white, the base of the forewing is dark brown, and the hindwing and cilia are pale gray. In
E. wyattella
, the posterior margin of the occiput is dark brown, the base of the forewing is white, and the hindwing and cilia are dark gray.
Wingspan:
11 mm (Walsingham, (1907)
Forewing Length:
3.8 - 6.3 mm (Hodges, 1978)
Adult Structural Features:
Hodges (1978) provides descriptions of the male and female genitalia for members of the genus, but did not provide descriptions for
E. sexnotella
.
Adult ID Requirements:
Identifiable from good quality photos of unworn specimens.
Immatures and Development:
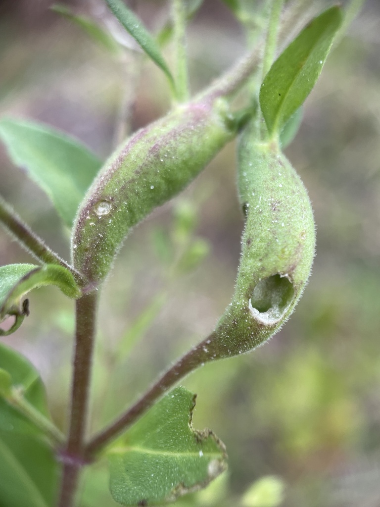
The larvae are specialists on bluecurls (
Trichostema
spp.). They burrow into the stems of the plants and trigger the development of oblong-shaped galls, then feed within the galls. Pupation presumably occurs within the gall since adults have been reared from galls that were collected in the field.
Larvae ID Requirements:
Identifiable from good quality photos, especially where associated with known host plants.
Distribution in North Carolina
Distribution:
Eteobalea sexnotella
is found in eastern North America from the New England states and southern Ontario southward to Florida, and westward to eastern Texas, Oklahoma, Kansas, and Illinois. Local populations are restricted to where the host plants are present. As of 2025, we have records from both the Sandhills and from several coastal counties.
County Map:
Clicking on a county returns the records for the species in that county.
Flight Dates:
High Mountains (HM) ≥ 4,000 ft.
Low Mountains (LM) < 4,000 ft.
Piedmont (Pd)
Coastal Plain (CP)
Click on graph to enlarge
Immature Dates:
High Mountains (HM) ≥ 4,000 ft.
Low Mountains (LM) < 4,000 ft.
Piedmont (Pd)
Coastal Plain (CP)
Click on graph to enlarge
Flight Comments:
Adults have been found from January through August in Florida, and from April through September in other areas outside of North Carolina. As of 2025, our records are from mid-May through late-September, with local populations appearing to produce two broods per year.
Habitats and Life History
Habitats:
This species is a specialist on bluecurls and presumably uses both Forked Bluecurls and Dune Bluecurls in North Carolina. These species prefer somewhat dry, open areas where the seeds can successfully germinate. Forked Bluecurls can be found in old fields, the edges of woodlands, under powerline clearings, on dunes, and in similar open habitats, while Dune Bluecurls is a dune specialist. We have records for
E. sexnotella
from dune and spoil sites at the coast, and from sandy, dry habitats in the Sandhills.
Larval Host Plants:
Eteobalea sexnotella
is the only species of moth that specializes on bluecurls and is unique in producing stem galls on these hosts. The known hosts include Forked Bluecurls (
Trichostema dichotomum
), Florida Scrub Bluecurls (
T. suffrutescens
; Hodges, 1978), and the recently described Dune Bluecurls (
T. nesophilum
). As of 2025, we have host records for Dune Bluecurls and Forked Bluecurls. -
View
Observation Methods:
The adults are attracted to lights. The galls are easy to spot on bluecurls, and more information is needed on the hosts, larval ecology, and life history.
Wikipedia
Status in North Carolina
Natural Heritage Program Status:
Natural Heritage Program Ranks:
GNR [S2S3]
State Protection:
Comments:
As of 2024, we have only a few site records for the state.
Photo Gallery for
Eteobalea sexnotella
- None
Photos: 6
Recorded by: Mark Basinger on 2025-09-28
Bladen Co.
Comment:
Recorded by: Larry Chen, Sarah Toner on 2023-09-30
Beaufort Co.
Comment: Stem galls on Trichostema dichotomum.
Recorded by: Jim Petranka and Bo Sullivan on 2022-05-30
Moore Co.
Comment:
Recorded by: Jim Petranka and Bo Sullivan on 2022-05-30
Moore Co.
Comment:
Recorded by: Larry Chen, Sarah Toner on 2021-10-05
Dare Co.
Comment: A gall on Dune Bluecurls (Trichostema nesophilum).
Recorded by: R. Newman on 2021-09-07
Carteret Co.
Comment: