Moths of North Carolina
Home Page
Recent Entries
Recent Account Updates
County Searches
General Search
Submit a Public Record
Larval Hosts
References
Maps
Draft Checklists
Family Photo Gallery
Family PDFs
NC Biodiversity Project
Comments
Significant Contributors
Scientific Name:
Common Name:
Family (Alpha):
Choose a Family
ACROLEPIIDAE-False Diamondback Moths
ADELIDAE-Fairy moths
ALUCITIDAE-Many-plumed Moths
AMPHISBATIDAE-
ARGYRESTHIIDAE-Shiny Head-standing Moths
AUTOSTICHIDAE-Autostichid Moths
BATRACHEDRIDAE-Batrachedrid Moths
BEDELLIIDAE-Bedelliid Moths
BLASTOBASIDAE-Blastobasid Moths
BOMBYCIDAE-Silkworm Moths
BUCCULATRICIDAE-Ribbed Cocoon-maker Moths
CARPOSINIDAE-Fruitworm Moths
CHOREUTIDAE-Metalmark Moths
COLEOPHORIDAE-Casebearer Moths and Relatives
COSMOPTERIGIDAE-Cosmopterigid Moths
COSSIDAE-Carpenter Moths, Goat Moths
CRAMBIDAE-Grass Moths, Snout Moths
DEPRESSARIIDAE-
DREPANIDAE-Hook-tips and Thyatirid Moths
DRYADAULIDAE-
ELACHISTIDAE-Grassminer Moths and Relatives
EPERMENIIDAE-Fringe-tufted Moths
EPIPYROPIDAE-Planthopper Parasite Moths
EREBIDAE-Erebid Moths
ERIOCRANIIDAE-Eriocraniid Moths
EUTELIIDAE-Euteliid Moths
GALACTICIDAE-Galacticid Moths
GELECHIIDAE-Gelechiid Moths; Twirler Moths
GEOMETRIDAE-Geometer Moths, Loopers
GLYPHIDOCERIDAE-Glyphidocerid Moths
GLYPHIPTERIGIDAE-Sedge Moths
GRACILLARIIDAE-Leafblotch miner moths
HELIOZELIDAE-Shield bearer moths
HEPIALIDAE-Ghost or Swift Moths
HYBLAEIDAE-
INCURVARIIDAE-Leafcutter Moths
LASIOCAMPIDAE-Tent Caterpillar Moths, Lappet Moths
LECITHOCERIDAE-Long-horned Moths
LIMACODIDAE-Slug Caterpillar Moths
LIMOCODIDAE-
LYONETIIDAE-Lyonetiid Moths
MEGALOPYGIDAE-Flannel Moths
MICROPTERIGIDAE-Mandibulate Moths
MIMALLONIDAE-
MOMPHIDAE-Mompha Moths
NEPTICULIDAE-Minute leaf miners
NOCTUIDAE-Owlet Moths
NOLIDAE-
NOTODONTIDAE-Prominents
OECOPHORIDAE-Oecophorid Moths
OPOSTEGIDAE-
PELEOPODIDAE-
PLUTELLIDAE-Diamondback Moths
PRODOXIDAE-Yucca Moths
PSYCHIDAE-Bagworm Moths
PTEROPHORIDAE-Plume Moths
PYRALIDAE-Pyralid Moths, Snout Moths
SATURNIIDAE-Giant Silkworm Moths
SCHRECKENSTEINIIDAE-Schreckensteiniid Moths
SCYTHRIDIDAE-
SESIIDAE-Clearwing Moths
SPHINGIDAE-Sphinx Moths
THYATIRIDAE-
THYRIDIDAE-Window-winged Moths
TINEIDAE-Clothes moths
TISCHERIIDAE-Tischerid Moths
TORTRICIDAE-Leafroller Moths
URANIIDAE-
URODIDAE-Urodid Moths
XYLORYCTIDAE-
YPONOMEUTIDAE-Ermine Moths
YPSOLOPHIDAE-Ypsolophid Moths
ZYGAENIDAE-
«
Home
»
View
PDF
Sesiidae Members:
Albuna fraxini
Alcathoe carolinensis
Alcathoe caudata
Carmenta bassiformis
Carmenta ithacae
Carmenta pyralidiformis
Carmenta texana
Eichlinia cucurbitae
Osminia ruficornis
Paranthrene asilipennis
Paranthrene dollii
Paranthrene pellucida
Paranthrene simulans
Pennisetia marginatum
Podosesia aureocincta
Podosesia syringae
Sannina uroceriformis
Synanthedon acerni
Synanthedon acerrubri
Synanthedon alleri
Synanthedon arkansasensis
Synanthedon castaneae
Synanthedon decipiens
Synanthedon exitiosa
Synanthedon fatifera
Synanthedon fulvipes
Synanthedon kathyae
Synanthedon pictipes
Synanthedon pyri
Synanthedon refulgens
Synanthedon rhododendri
Synanthedon richardsi
Synanthedon rileyana
Synanthedon rubrofascia
Synanthedon scitula
Synanthedon unidentified species
Vitacea polistiformis
Vitacea scepsiformis
Vitacea unidentified species
Podosesia
Members:
Podosesia aureocincta
Podosesia syringae
37 NC Records
Podosesia syringae
(Harris, 1839) - Ash Borer Moth
Taxonomy
Superfamily:
Sesioidea
Family:
Sesiidae
Subfamily:
Sesiinae
Tribe:
Synanthedonini
P3 Number:
55a0130
MONA Number:
2589.00
Other Common Names:
Lilac Borer Moth, Lilac/Ash Borer, Lilac Clearwing Borer, Ash Clearwing Borer
Comments:
Of the 136 or more members of the Sesiidae that occur in North American north of Mexico, 37 have been recorded in North Carolina. Some sesiids, known broadly as clearwing borers, are significant pests of commercial crops. The great majority are mimics of wasps and hornets.
Podosesia syringae
is one of two species of
Podosesia
found in the state, and both utilize ashes (
Fraxinus spp.
) as a food plant.
Identification
Field Guide Descriptions:
Covell (1984); Beadle and Leckie (2018)
Online Resources:
MPG
,
BugGuide
,
iNaturalist
,
Google
,
BAMONA
,
GBIF
,
BOLD
Technical Description, Adults:
Eichlin and Duckworth (1988)
Technical Description, Immature Stages:
Solomon (1975)
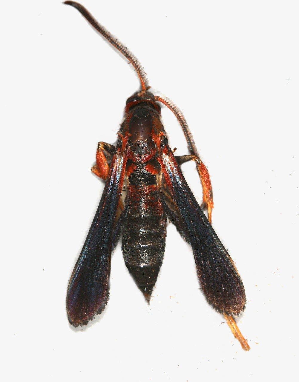
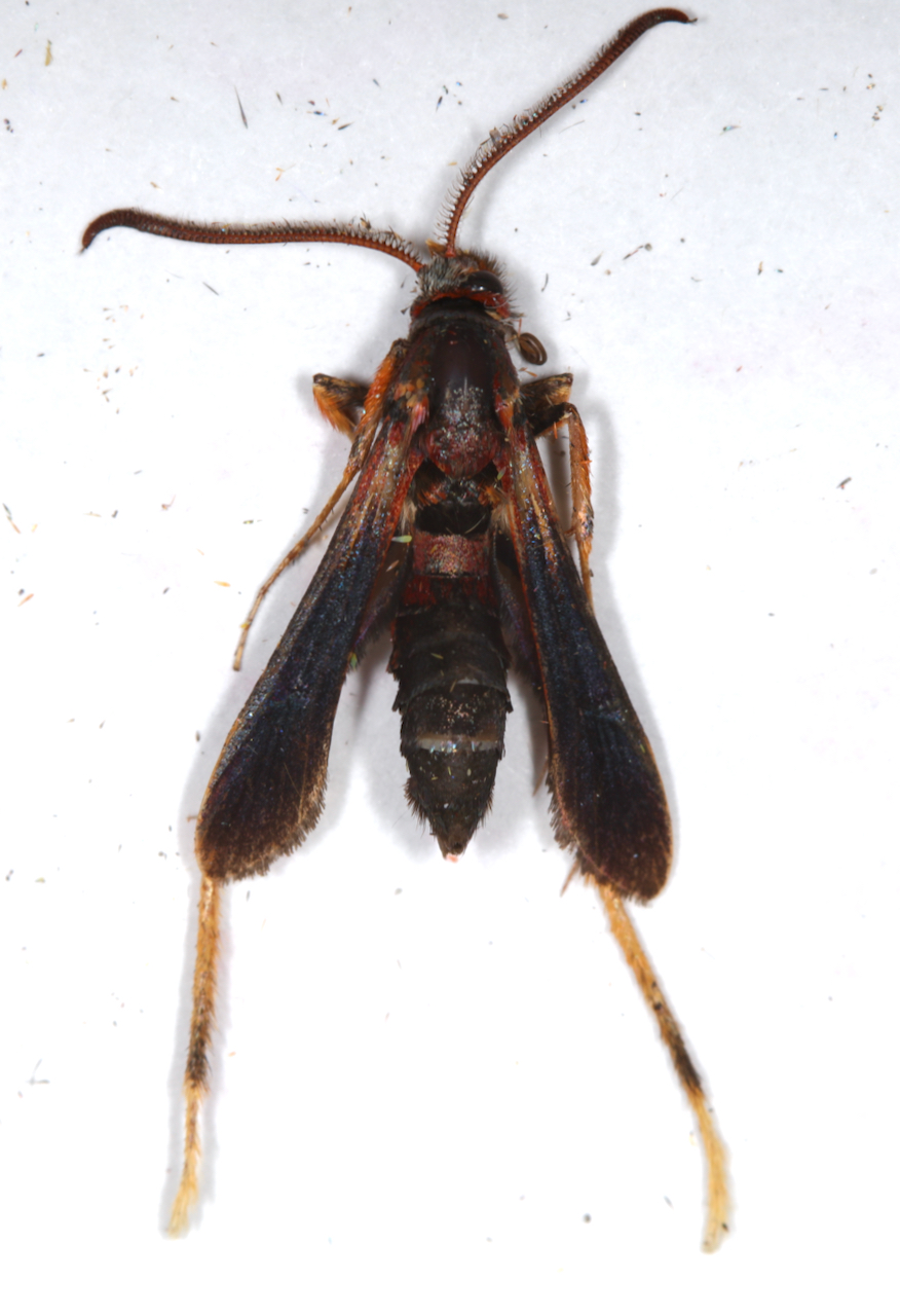
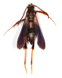
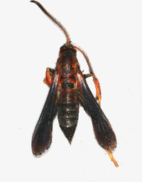
Adult Markings:
Podosesia syringae
resembles a paper wasp. The thorax is brownish-black with red scales scattered above the base of wings and immediately adjacent to the abdomen. The abdomen is brownish-black and is constricted at the base in males. The anal tuft is brownish-black and pointed, while the forewing is brownish-black except for a small hyaline area at the base where there is red on the margins. The hindwing is hyaline with narrow, black margins. The terminal half of the legs are yellow, and the proximal half mixed with red, yellow, and black. The hindlimb is very long and is dangled beneath the body as the moth flies in a slow, hovering flight that resembles that of a paper wasp. The following detailed description of the male is mostly from that of Purrington and Nielson (1977) and Eichlin and Duckworth (1988).
The antenna is orange to reddish-orange and blackened on the apical third, while the labial palp is roughened, orangish-red above, and black below. The vertex of the head is silver gray and the front grayish-brown, with the occipital fringe (collar) orangish-red. The thorax is brownish-black and often strongly powdered with chestnut-red on the sides, above the wing base, and on the posterior margin of the mesothorax. There is a yellow spot beneath the wing base and a small patch of yellow laterally on the posterior margin of the metathorax. The abdomen is constricted somewhat at the base and mostly brownish-black, with reddish scaling often on segments 2 and 3 above. The anal tuft is pointed and black. The legs are marked with black, orange and yellow from the fibia to the tarsus. The hindleg is unusual in having the first tarsal segment very long, and about as long as the tibia. The first segment is yellow, with brownish-black on the apical half, while the other tarsal segments are yellow and much shorter. The forewing is opaque except for hyaline areas at the base. It is mostly brownish-black above with red basally on the margins. The hindwing is mostly hyaline, with the veins, fringe, and discal spot brownish-black. The wing margin is variously suffused with brownish-black and lightly powdered with orange. The females are similar to the males but without the noticeably constricted abdomen. Specimens toward the southern portion of the range have increasingly more rust red, especially on the thorax and abdominal segments two and three.
Podosesia aureocincta
closely resembles the dark, typical, color form of
P. syringae
as described above and that occurs in the eastern US. Both are mimics of
Polistes
paper wasps. These two sibling species can be distinguished by the morphology of the eggs, the number of crochets on the proleg of the sixth abdominal segment of the last instar of the larvae, the flight season, and banding on the abdomen (Purrington and Nielson, 1977). The adults of both sexes of
P. aureocincta
have a distinctive orange-yellow band on abdominal segment 4 that is absent on the dark morph of
P. syringae
. In addition, local populations that are sympatric fly at different times of the year, with
P. syringae
typically flying in April-July in North Carolina and
P. aureocincta
in August and September.
Wingspan:
24-32 mm for males and 28-35 mm for females (Solomon, 1975).
Forewing Length:
10-17 mm (Brown and Mizell, 1993).
Genitalia and other structural photos
Male reproductive structures. June 6-11, 2017, Ashe County, J.B. Sullivan. Confirmed by Bill Taft
Aedeagus. June 6-11, 2017, Ashe County, J.B. Sullivan. Confirmed by Bill Taft
Abdominal pelt. June 6-11, 2017, Ashe County, J.B. Sullivan
Male genitalia; Cumberland County; Jim Petranka.
Aedeagus; Cumberland County; Jim Petranka.
Male genitalia; Madison County; Jim Petranka
Adult ID Requirements:
Identifiable from good quality photos of unworn specimens.
Immatures and Development:
The larvae are borers that feed primarily on ashes, particularly Green Ash and American Ash. Adult emergence occurs in association with the spring warm-up and leaf-out, and varies depending on the latitude and climatic conditions. Forbes (1911) studied this species in Illinois where the larvae attack Green Ash and reported that the females lay their eggs in masses on rough, scarred, or knotty places on the trunk or branches. The hatchlings emerge in about six days and eat through the bark into the outer layers of the sapwood where they make irregular galleries. They are capable of penetrating the harder wood, and eventually make their way to the center of small branches. In fall, the nearly mature or mature larvae bore towards the bark surface and construct a hibernating cell by plugging up the burrow on both ends with frass. The larvae feed minimally in the spring before pupating in April or the first part of May in a burrow that leads to the outer edge of the bark, where they leave a thin outer film that serves as an escape hatch. At emergence, the pupa penetrates the film and projects out of the bark, with the adult emerging shortly thereafter. The moths make their appearance from the latter part of April to the middle of June in central and northern Illinois.
Solomon (1975) conducted a comprehensive study in Mississippi where the larvae also attack Green Ash. The adults emerged during the day from early-morning until around noon, with the females mating within an hour or two after emerging. Females began ovipositing within an hour after mating and deposited eggs singly or in small clusters, mostly in bark crevices or beside bark ridges. Captive females laid 204-586 eggs (mean = 395) over 2-9 days, with hatchlings in the field emerging after 9-13 days. Larvae bored into the bark, and left holes with sap and frass oozing from them. The larvae initially mined the phloem-cambium area vertically, then bored into the sapwood for a long distance before boring back to the bark surface. The completed galleries were 7-32 cm long, and pupation occurred in a plugged section of a gallery that extended almost to the bark surface except for a paper-thin cover. The larva is white except for an amber-colored head, thoracic shield, and spiracles. Newly hatched larvae average ca. 1 mm in length and reach 26-34 mm at maturity. The pupa is reddish brown and 18-24 mm long (Solomon, 1975). Larvae in Solomon’s (1975) study emerged from March through July. The adults mostly attacked the lower trunk and preferred trees in open settings. Woodpeckers fed heavily on the larvae during the winter and probably play a significant role in controlling population sizes.
Larvae ID Requirements:
Identifiable from close inspection of specimens or by DNA analysis.
Distribution in North Carolina
Distribution:
Podosesia syringae
is widely distributed across North America, with the range including almost all of the eastern US from the Atlantic Coast states to the Great Plains, much of southern Canada from British Columbia eastward to Nova Scotia, and more spottily in non-arid regions of the western states. In the eastern US, the range extends from Maine southward to northern Florida, and westward to eastern Texas, central Oklahoma, eastern Kansas, eastern Nebraska and Minnesota. This species occurs statewide in North Carolina.
County Map:
Clicking on a county returns the records for the species in that county.
Flight Dates:
High Mountains (HM) ≥ 4,000 ft.
Low Mountains (LM) < 4,000 ft.
Piedmont (Pd)
Coastal Plain (CP)
Click on graph to enlarge
Flight Comments:
Adults have been observed from January through September in different areas of the range, with a seasonal peak typically from May through July. As of 2024, our records are from late-April through mid-July. Local populations are univoltine in North Carolina, with populations in the Coastal Plain and Piedmont flying in April and May, and those in the Blue Ridge 3-4 weeks later.
Habitats and Life History
Habitats:
Local populations occur in rural, urban, and forested areas where ashes or other host plants are present.
Larval Host Plants:
The larvae feed on members of the Oleaceae (Forbes, 1911, 1923; Seaver, 1916; Engelhardt 1946; Peterson, 1964; Baker, 1972; Solomon, 1975). They are a major pest of Green Ash (
Fraxinus pennsylvanica
) both in the wild and where they are used as shade trees or nursery stock. They can also cause significant losses to Lilac (
Syringa vulgaris
) that is grown in nurseries. Other documented hosts include Fringetree (
Chionanthus virginicus
), American Ash (
F. americana
), Carolina Ash (
F. caroliniana
), Black Ash (
F. nigra
), various European and red ashes, a
Ligustrum
sp. (privet) and ornamental plantings of olive (
Olea europaea
). Forbes (1911) reported them to feed on American Mountain-ash (
Sorbus americana
) in the Rosaceae, but this needs additional verification. -
View
Observation Methods:
The adults are diurnally active and are not attracted to lights, but frequently visit flowers. They are most easily collected by employing synthetic pheromone traps (see Taft et al., 2004, for a list of species-specific pheromone blends).
Wikipedia
Status in North Carolina
Natural Heritage Program Status:
[W-Th]
Natural Heritage Program Ranks:
GNR [S2S3]
State Protection:
Has no legal protection, although permits are required to collect it on state parks and other public lands.
Comments:
This species closely mimics a
Polistes
paper wasp in both appearance and behavior.
P. syringae
does not pose a serious threat to ash trees in North Carolina given the prevalence of
Fraxinus
in the state. However, the arrival of the Emerald Ash Borer beetle (
Agrilus planipennis
) in the state in 2013 could potentially impact populations of
P. syringae
in the future due to the widespread loss of ash trees statewide.
Photo Gallery for
Podosesia syringae
- Ash Borer Moth
Photos: 25
Recorded by: Mark Basinger on 2025-06-23
Buncombe Co.
Comment:
Recorded by: Mark Basinger on 2025-06-23
Buncombe Co.
Comment:
Recorded by: Jim Petranka on 2025-06-23
Madison Co.
Comment:
Recorded by: Mark Basinger on 2025-06-15
Rowan Co.
Comment:
Recorded by: Jim Petranka on 2025-06-12
Madison Co.
Comment:
Recorded by: Jim Petranka and Becky Elkin on 2025-06-04
Mitchell Co.
Comment:
Recorded by: Mark Basinger on 2025-06-02
Brunswick Co.
Comment:
Recorded by: Jim Petranka and Becky Elkin on 2025-05-31
Madison Co.
Comment:
Recorded by: Jim Petranka, Mark Basinger and Becky Elkin on 2025-05-18
Buncombe Co.
Comment:
Recorded by: Jim Petranka, Mark Basinger and Becky Elkin on 2025-05-18
Buncombe Co.
Comment:
Recorded by: Jim Petranka, Mark Basinger and Becky Elkin on 2025-05-18
Buncombe Co.
Comment:
Recorded by: Jim Petranka, Mark Basinger and Becky Elkin on 2025-05-18
Buncombe Co.
Comment:
Recorded by: Jim Petranka on 2025-05-16
Madison Co.
Comment:
Recorded by: Jim Petranka and Becky Elkin on 2025-05-14
Madison Co.
Comment:
Recorded by: Jim Petranka and Becky Elkin on 2025-05-14
Madison Co.
Comment:
Recorded by: John Petranka on 2025-05-14
Orange Co.
Comment:
Recorded by: Jim Petranka, John Petranka and Becky Elkin. on 2025-05-09
Cumberland Co.
Comment:
Recorded by: Jim Petranka, John Petranka and Becky Elkin. on 2025-05-09
Cumberland Co.
Comment:
Recorded by: John Petranka on 2025-04-17
Orange Co.
Comment:
Recorded by: vito_fandozzi on 2022-06-09
Henderson Co.
Comment: iNat record - https://www.inaturalist.org/photos/204662238 (CC BY-NC)
Recorded by: Richard Teper on 2021-04-27
Orange Co.
Comment:
Recorded by: Jim Petranka and Becky Elkin on 2019-05-25
Madison Co.
Comment:
Recorded by: Jim Petranka and Becky Elkin on 2019-05-25
Madison Co.
Comment:
Recorded by: Jim Petranka and Becky Elkin on 2019-05-25
Madison Co.
Comment:
Recorded by: J.B. Sullivan on 2017-06-06
Ashe Co.
Comment: